This two-part blog post series begins with my first visit to north Queensland in July 2022, and concludes with a second trip to the Gold Coast in March 2023.
After the mid-2022 trip to North Queensland, I didn’t plan on returning anytime soon. There were many other places I wanted to explore, like New Zealand. But my Laddie’s knee injury in December cancelled our holiday expedition to Aotearoa. Worse, surgical recovery forbade him from hiking for nearly a year. Were our 2023 adventures over before they’d begun? Not if I had anything to say about it. I just had to find a place that didn’t demand a lot of steps. The physiotherapist had recommended swimming…
Epiphany crashed over me like a rogue wave, and I remembered a place I’d dreamed of visiting long before I ever got a job in Australia: Lady Elliot Island, a coral cay on the southern tip of the Great Barrier Reef. At just 110 acres in area, there would be no need for long walks on unstable sand. Just roll out of bed and into the sea. The island’s lone eco-resort is usually booked months in advance, but I lucked out: it had one room available for a few days in March, which also happened to be turtle hatching season. Snorkeling at my doorstep and a chance at seeing baby sea turtles? That would take the sting out of having to forgo a sub-Antarctic wildlife cruise.

So off we went on an impulsive return visit to Queensland. First stop: Hervey Bay, a small coastal town 300km north of Brisbane. It proved a worthy destination in itself. Urangan Pier, built around 1913 to facilitate export of sugar, timber and coal, today provides a popular spot for fishing and kitesurfing. A long esplanade along the shoreline connects small municipal parks, a haven for both humans and wildlife. At low tide, armies of tiny solider crabs emerge to feed, filtering for microorganisms and leave the beach behind them a carpet of pearled sand. Unlike most crabs, their round blue bodies are adapted for forward and backward movement, rather than lateral scuttling.



None of those terrestrial locomotions would get us to Lady Elliot Island. It’s only accessible via flights from a few regional Gold Coast airports. Consequently, my list of life adventures now includes riding shotgun in a Cessna. Creamy cumulus clouds scudded over the sea, casting shadows on the swells. One of them resolved into white coral. The island lay beneath us like a jewel reposed on blue velvet, emerald set within a bright fringing reef. “Looks like a few reef sharks down there,” the pilot remarked over the headset, nodding down at turquoise water so clear we could see the shapes of large marine life from above. My toes twitched in the cockpit, eager to don fins.


Disembarking on the grass airstrip, we met a noisy welcoming committee of black noddys. Named for their head-bobbing courtship displays, thousands of these birds nest assemble annually to nest (including in these “octopus trees”, so called for their tentacle-like racemes, which are among the first plants to establish forests in a coral island ecosystem). It was their resort as much as ours! Cacophonous shrieks and the earthy tang of guano filled the air. Numerous other species call Lady Elliot home, including various terns, sandpipers, and frigatebirds that spiral overhead like pterosaurs. Abundant birdlife, combined with the fossils exposed at low tide, give the island an atmosphere of primeval magic.




Birds—specifically, centuries of accumulated dung from their colonies—played a pivotal role in Lady Elliot’s history. In the 1860s, Queensland’s government approved mining for guano, used in production of gunpowder. Workers defoliated the entire island, removing three feet of topsoil along with the turds. Ten years later, the island was a barren moonscape. A century later, in 1966, lighthouse staff to began a revegetation program. Construction of an airstrip and a resort shortly afterwards ushered in the era of ecotourism. Resurgent foliage eventually obscured the beams of the 1873 Lady Elliot Island Light, necessitating installation of a new signal tower in 1995. Today the restored biome represents an ecological success story. It’s a testament to nature’s resilience, if humans give it a chance.
Steps from the lighthouse, the crystalline waves lap over the island’s most stunning natural wonder. Clad in rubber reef shoes to avoid stepping on camouflaged stonefish—the most venomous fish in the world—I waded out into the Coral Sea. Snorkeling always makes me feel like I’m exploring an alien world, right on my own planet. Although it wasn’t the season for the famous manta rays, the reef offered plenty of other wonders. A moray eel gaped from a crevasse while a small fish cleaned its teeth. A group of iridescent squid the size of my hand watched me with unblinking round eyes. Colorful parrotfish excreted trails of sand. White- and black-tipped reef sharks sashayed away into the deep water. Ribbons of electric-blue damselfish swirled around me.





Enchanted, I swam north along the coastline, into a zone dubbed the Coral Gardens…and found myself floating through a boneyard. Pale staghorn fragments littered the seabed. No colorful bouquets of coral. No teeming neighborhoods of fish and nudibranchs. Just a lifeless grey expanse like the cement bottom of a municipal swimming pool. Chills flowing over my skin had nothing to do with thermoclines. The Great Barrier Reef’s southern reaches have largely escaped the ravages of coral bleaching so far, but it was first observed on Lady Elliot in 2019. Diving to inspect the wreckage, the pain in my chest wasn’t just my lungs running out of air: my heart physically ached at the loss, and the thought of such blight spreading. Would climate change turn the vibrant aquatic neighborhood behind me into this skeletal wasteland?
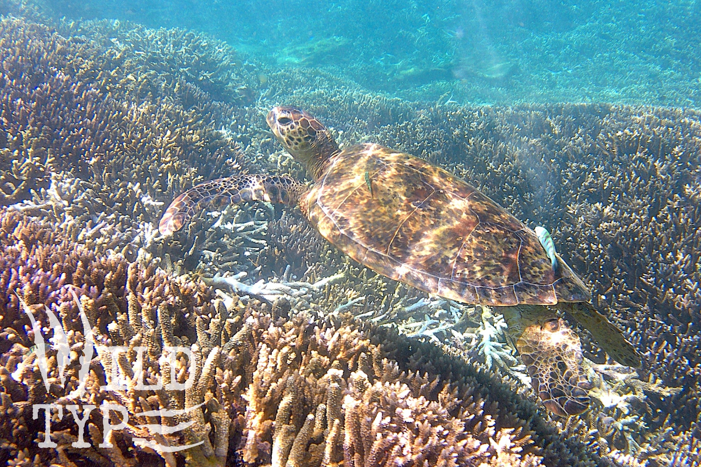
Returning to the surviving reef, I caught the shift of shadows beneath an overhang. A massive loggerhead turtle emerged. She had clearly lived a rough life. Algae encrusted her tire-sized carapace, and her left front flipper ended in a stump. (I mentally nicknamed her Petra, after the disabled heroine of Beat In Her Blood.) Despite the handicap, she glided confidently through the glittering galaxies of fish. She struck me as a living metaphor for the island, and perhaps Earth itself: damaged, but not destroyed, and still capable of thriving in favorable conditions.
Lady Elliot certainly helps sea turtles thrive. Slim wooden posts in the sand, inscribed with dates, marked sea turtle nests all around the island. My Laddie and I staked out one close to its hatching date every evening of our stay. We were’t lucky enough to see the eruption, but it was enough to lie on a coral beach aglow beneath a full moon, studying unfamiliar stars. The noddys continued their raucous conversations all through the night, which got me up in time for the breathtaking island sunrise. Pelagic birds swooped in silhouette across a luminous lavender sky. Clouds turned from grey to gold to molten orange, the atmosphere ablaze. Appropriate for a planet on fire.
Even as I celebrate nature in this blog, I suffer deep despondence about Earth’s future. The more incredible ecosystems I explore—the Otway rainforest, the rugged coast of Tasmania, my own local wetlands—the more I realize how much we have yet to lose. Have the powerful people procrastinating on environmental action not visited places like these? Or do they just not care? Sometimes my wildlife photography feels like an exercise in mememto mori, capturing desperate last images of things that may not exist in a few decades. But much like Lady Elliot Island restored its habitats, it restored my hope that at least some of the wild can still recover if we give it adequate room and respect.


Breathtaking photos, though I admit the island doesn’t seem to be large enough for any kind of aircraft. I’d be scared of landing there…
Hopefully, there will be more stories of successful restoration around the world.
LikeLiked by 1 person